Agencias
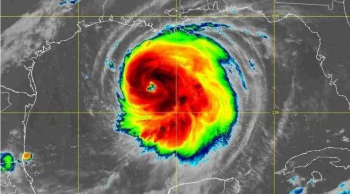
El huracán “Laura“ llegó a categoría 3 y se fortalecerá este miércoles hasta llegar a la categoría 4 antes de impactar en las costas de Texas y Luisiana (Estados Unidos).
El impacto podría ser esta noche o el jueves, informó el Centro Nacional de Huracanes (NHC) estadounidense.
Se dio a conocer que el huracán, “Norma” es capaz de producir una marejada ciclónica catastrófica, con vientos e inundaciones repentinas .
El servicio meteorológico con sede en Miami instó a la población de la zona donde se producirá el impacto, en la linde entre Texas y Luisiana, a «apresurarse en completar las acciones necesarias para proteger la vida y las propiedades».
 

 








