La Comisión Nacional del Agua informó que el huracán Erick tocó tierra en México a las 5:30 am en categoría 3 sobre el municipio de Santiago Pinotepa Nacional, Oaxaca.
Previamente, el Centro Nacional de Huracanes de Estados Unidos informó que ‘Erick’ había ingresado a Oaxaca con vientos máximos sostenidos por arriba de los 200km/h.
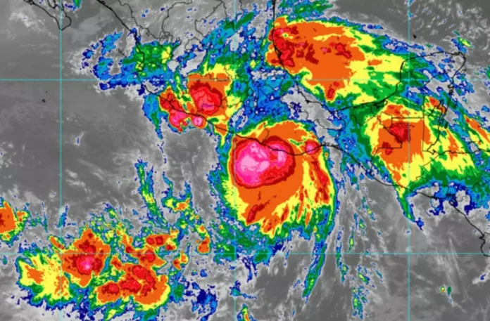
‘Erick‘ se intensificó la noche del miércoles a un huracán categoría 4, confirmó el Centro Nacional de Huracanes (NHC) de Estados Unidos.
El meteoro mantiene su trayectoria hacia las costas de Oaxaca y Guerrero.
A las 03:00 h de este jueves, el huracán ‘Erick‘ se localizó 30 kilómetros al oeste-suroeste de Lagunas Chacahua, Oaxaca, y 85 kilómetros al este-sureste de Punta Maldonado.
Presenta vientos máximos sostenidos de 220 kilómetros por hora, rachas de 270 km/h y desplazamiento hacia el noroeste a 15 km/h.
Alerta roja (peligro máximo): Oaxaca: suroeste; Guerrero: sureste.
Alerta naranja (peligro alto): Guerrero: centro, este y sur; Oaxaca: sur.
Alerta amarilla (peligro moderado): Guerrero: suroeste; Oaxaca: noroeste.
Alerta verde (peligro bajo): Guerrero: norte y noroeste; Michoacán: sur; Oaxaca: centro y este.
Alerta azul (peligro muy bajo): Chiapas: oeste, centro y sur; Michoacán: suroeste y sureste; Estado de México: sur; Puebla: sur; Morelos: oeste y sur; Oaxaca: norte.
El gobierno mexicano hizo un llamado urgente a los habitantes de Guerrero y Oaxaca a extremar precauciones, atender los avisos oficiales y seguir las recomendaciones de protección civil.








