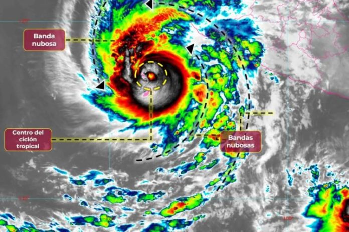
El huracán Norma se intensificó a categoría 3 en la escala Saffir-Simpson, informó el Servicio Meteorológico Nacional (SMN).
En su pronóstico general, el SMN indicó a las 06:00 que Norma se localiza a 405 kilómetros al suroeste de Playa Pérula, Jalisco, y a 685 kilómetros al sur-sureste de Cabo San Lucas, Baja California Sur.
Presenta vientos sostenidos de 195 kilómetros por hora (km/h), rachas de 240 km/h y desplazamiento hacia el norte a 9 km/h.
Sus bandas nubosas ocasionarán lluvias puntuales intensas en Jalisco y Colima, así como lluvias muy fuertes en Nayarit, Michoacán y Guerrero; mismas que podrían incrementar los niveles de ríos y arroyos, y provocar deslaves e inundaciones en dichas entidades. Además, incrementa la probabilidad de chubascos en Baja California Sur y Sinaloa.
Rachas de viento de 90 a 110 km/h con posible formación de trombas marinas y oleaje de 3 a 5 metros de altura en costas de Jalisco, Colima y Michoacán; rachas de 70 a 80 km/h y oleaje de 2 a 3 metros de altura en costas de Baja California Sur, Nayarit y Guerrero.
Norma llega tras el doble azote de los ciclones Lidia y Max la semana pasada, cuando dejaron cinco muertos en total, uno en Nayarit, dos en Jalisco y dos en Guerrero.
Con información de López-Dóriga Digital








