Agencias
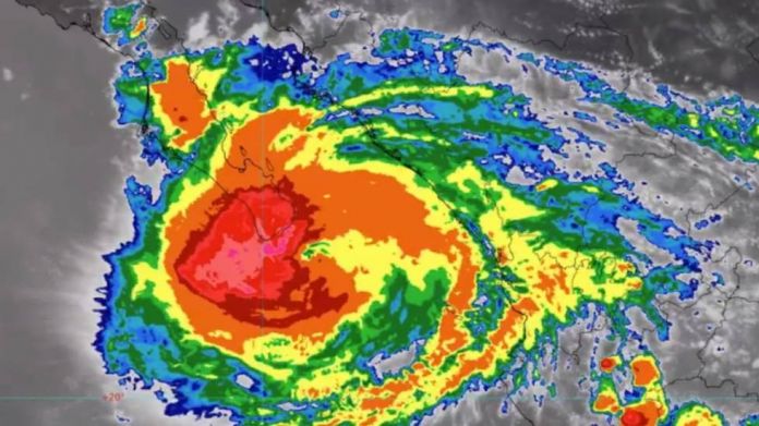
La Comisión Nacional del Agua, (Conagua), confirmó que la noche de este jueves Olaf, el huracán categoría 1, tocó tierra en Los Cabos Baja California Sur.
De acuerdo a los reportes emitidos por las autoridades, el meteoro presenta vientos máximos de 150 kilómetros por hora y rachas de 185 con desplazamiento hacia el norte noroeste a 17 km por hora.
Asimismo, el Servicio Meteorológico Nacional (SMN) mantiene zona de prevención para efectos del huracán desde Los Barriles hasta Santa Fe, así como la zona de prevención por efectos de tormenta tropical desde Santa Fe hasta Cabo San Lázaro.
La Coordinación Nacional de Protección Civil, dijo que el gobierno mexicano alertó que hay más de medio millón de personas en riesgo en el noreste del país por el potencial del impacto del ciclón.
Debido a ello se pidió extremar precauciones a la población en general, en las zonas de los estados mencionados por lluvias viento y oleaje.








